Conheça a praga que ameaça a produtividade no campo e saiba como controlá-la.
Conhecida como cigarrinha-do-milho , Dalbulus maidis (Hemiptera: Cicadellidae) é um inseto sugador que mede de 3 a 4 mm de comprimento, possui coloração branco-palha, podendo apresentar-se levemente acinzentada, e tem duas pequenas manchas pretas na parte dorsal da cabeça e asas semitransparentes.
Possui como hábito alimentar a sucção da seiva das plantas, sendo o milho (Zea mays) seu principal hospedeiro. Entretanto, o maior problema para a cultura não está associado somente ao dano direto causado pela alimentação, mas sim à transmissão de patógenos ligada a esse inseto. A cigarrinha-do-milho é capaz de adquirir, reter e transmitir patógenos relacionados ao complexo do enfezamento (molicutes e vírus).
Neste artigo, você aprenderá mais sobre o manejo da cigarrinha-do-milho e as doenças transmitidas por esse inseto. Conheça melhor a cigarrinha do milho!
A cigarrinha é um inseto com desenvolvimento hemimetábolo: em seu ciclo de vida, ela passa pelas fases de ovo, ninfa e adulto. Conta com grande capacidade reprodutiva, utilizando principalmente plantas de milho para oviposição e alimentação.
Esse inseto-praga é responsável por transmitir patógenos causadores de uma das principais doenças na plantação: o complexo do enfezamento do milho, o qual discutiremos mais a seguir. Além disso, também pode proporcionar danos diretos à planta causados pela alimentação. O manejo adequado se torna primordial para assegurar as condições fitossanitárias da lavoura de milho e a rentabilidade da produção.
A cigarrinha-do-milho tem sido cada vez mais comum nas plantações brasileiras, o que exige a adoção de medidas preventivas para evitar perdas e a disseminação da doença.
Para controlá-la, é fundamental fazer o monitoramento permanente da população de cigarrinhas e utilizar soluções modernas e eficazes. Essa estratégia torna-se crucial para garantir a rentabilidade do agricultor e proteger a cultura no campo.
Qual é o ciclo da cigarrinha-do-milho?
A temperatura exerce influência significativa sobre o ciclo biológico das cigarrinhas.
Segundo Circular Técnico, publicado pela Embrapa, as fêmeas realizam postura colocando seus ovos por meio do ovipositor no tecido da nervura central das folhas. A eclosão das ninfas dificilmente ocorre abaixo de 20ºC, embora os ovos permaneçam viáveis nessa faixa de temperatura.
Em condições favoráveis, as ninfas eclodem em 9 dias e levam cerca de 15 dias para completar seu desenvolvimento, culminando na emergência dos adultos. Durante o período reprodutivo, as fêmeas podem depositar até 14 ovos por dia, totalizando mais de 500 ovos em seus 45 dias de vida.
Quando a temperatura oscila entre 26ºC e 32ºC, todo o ciclo biológico completo (ovo-adulto) ocorre em apenas 24 dias.

Figura e textos adaptados de: https://doi.org/10.1093/jee/toac147
Condições que favorecem a incidência de cigarrinhas no campo
A incidência de cigarrinhas no campo é beneficiada por diversas condições. Entre elas, está a falta ou a inadequação da rotação de culturas, que propicia a multiplicação e a migração das cigarrinhas na lavoura: elas levam consigo os mollicutes e os transmite com eficiência para as novas plantas.
Outro fator são as temperaturas elevadas, acima de 17°C à noite e 27°C durante o dia, que aceleram a multiplicação dos mollicutes tanto nas cigarrinhas quanto nas plantas doentes.
Além disso, o nível de suscetibilidade dos cultivares de milho podem favorecer a multiplicação dos mollicutes nas plantas infectadas. Portanto, utilizar híbridos de milho tolerantes à cigarrinha é essencial para a segurança da safra.
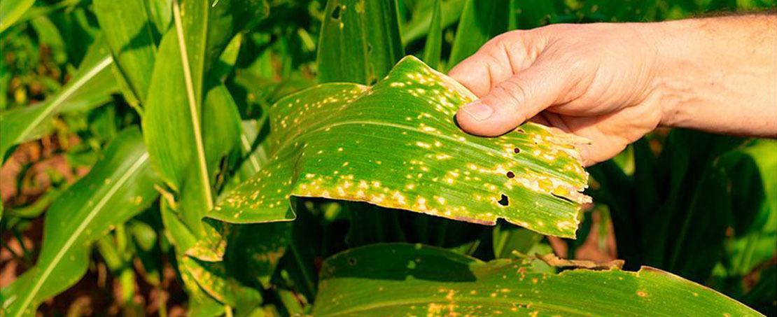
A não realização do controle da cigarrinha-do-milho resulta na elevação das populações e de problemas cada vez mais preocupantes. Segundo a Embrapa, as perdas devido aos enfezamentos podem chegar a 100%, em função da época de infecção e da suscetibilidade da cultivar plantada.
Principais doenças transmitidas pela cigarrinha-do-milho
Entre as principais doenças transmitidas pela cigarrinha-do-milho, estão o vírus da risca ou raiado fino (MRFV), os enfezamentos do milho (pálido-MBSP e vermelho-CSS) e o mosaico estriado do milho (MSMV).
Risca do milho ou raiado fino
A cigarrinha transmite o Maize rayado fino virus (MRFV), que causa a virose denominada “risca”. Os sintomas dessa virose podem ser observados nas folhas de plântulas e normalmente, a partir do reprodutivo, os sintomas ficam menos evidentes. Nas plantas infectadas, observamos pequenos pontos cloróticos ao longo das nervuras que formam linhas.

Virus do mosaico estriado.
Recentemente, outro vírus transmitido pela cigarrinha-do-milho foi identificado no Brasil: o Maize striate mosaic virus (MSMV). Primeiramente, constatou-se sua presença em lavouras de milho no Estado de São Paulo em 2017. As plantas infectadas apresentam estrias cloróticas e redução de crescimento da planta.

Figura e texto adaptados de: https://doi.org/10.1094/PDIS-09-21-1882-SC
Enfezamento no milho
O enfezamento do milho é causado por bactérias da classe Mollicutes, caracterizadas pela ausência de parede celular em sua composição. Elas infectam as plantas sendo transmitidas pela cigarrinha de forma sistêmica por meio da infecção dos tecidos do floema.
Quando as infecções ocorrem nos primeiros estágios vegetativos, a expressão dos sintomas é mais severa. Nos materiais suscetíveis, ocorre o encurtamento de entrenós e a má-formação ou não formação das espigas.

Enfezamento pálido
O enfezamento pálido é causado pelo molicute Spiroplasma kunkelii, que tem o nome comum de espiroplasma. Os sintomas no campo estão relacionados ao aparecimento de estrias cloróticas nas folhas e bainhas, ao encurtamento de entrenós, à má-formação de espiga e pendão e, em casos severos, à morte da planta.

Enfezamento vermelho
O enfezamento vermelho é causado pelo molicute Candidatus Phytoplasma asteris, que tem o nome comum de fitoplasma. Os sintomas no campo estão relacionados ao amarelecimento e ou avermelhamento das folhas, à proliferação de espigas e ao perfilhamento com encurtamento de entrenós.

Observação: os sintomas de fitoplasma e espiroplasma se sobrepõem em campo. Assim, a avaliação da presença dos fitopatógenos deve ser feita por meio de diagnose molecular.
Manejo da cigarrinha-do-milho
Para redução e prevenção da ocorrência de cigarrinha-do-milho e os danos relacionados ao complexo de enfezamento, podemos nos basear nos 10 passos apresentados no site do MAPA.
#1 – Controlar e eliminar o milho voluntário (tiguera) e as plantas daninhas que possam atuar como abrigo para a cigarrinha na entressafra.
#2 – Evitar o plantio de novas áreas ao lado de plantios velhos, reduzindo a ponte verde.
#3 – Escolher materiais com bons níveis de tolerância, adaptados à região, como os híbridos NK: Supremo Viptera 3, NK 501 VIP3 e NK 509 VIP3. Sementes NK. Rentabilidade com genética e tecnologia.
#4 – Usar sementes de qualidade, certificadas e tratadas.
#5 – Realizar a semeadura na melhor janela de plantio, respeitando o que é indicado para a região.
#6 – Efetuar o monitoramento da cigarrinha na área e colocar em prática os métodos de controle recomendados.
#7 – Rotacionar os princípios ativos dos inseticidas, evitando que ocorra resistência na população local.
#8 – Efetuar a boa regulagem dos implementos de colheita, reduzindo espigas e grãos no chão.
#9 – Fazer o transporte adequado dos grãos, evitando quedas ao longo das vias e da propriedade.
#10 – Efetuar a rotação de culturas e evitar a sucessão de gramíneas.

Figura e textos adaptados de: Enfezamentos do milho — Ministério da Agricultura e Pecuária (www.gov.br)
Referências:
- Cartilha Cigarrinha | Embrapa
- Journal of Economic Entomology
- Cenário e manejo de doenças disseminadas pela cigarrinha no milho | Embrapa
- Protocolos para experimentação, identificação, coleta e envio de amostras da cigarrinha Dalbulus maidis e de plantas com enfezamentos em milho. – Portal Embrapa
- Manejo da cigarrinha e enfezamentos da Cultura de milho | Embrapa

